日前,从贵州绥阳双河洞世界白云岩洞穴研究基地获悉,经华南农业大学田明义教授科研团队科考,贵州绥阳双河洞发现盲步甲新属种。
据了解,洞穴步甲是我国南方喀斯特洞穴无脊椎动物的代表类群,在属级水平上居于全球首位。绝大多数种类因复眼完全退化而成为盲步甲。近年来,由于大量新属和新种的陆续发现,我国南方喀斯特地区已成为世界上盲步甲种类最多的地区之一,而在南方喀斯特洞穴中生活的盲步甲堪称“活化石”,具有重要的科学研究和保护价值。
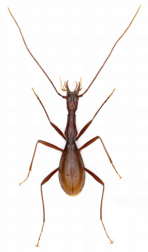
本次在双河洞发现的盲步甲与此前发现的细颈黔行步甲不同,体型较大,为穴居型种类,似乎介于上野盲步甲和洞盲步甲之间,其在洞内主要在洞壁活动,是中国乃至世界上具有适应洞穴环境的最典型适应性外部形态特征的盲步甲之一。因其特有性、独有性、惟一性,被命名为“双河盲步甲”。
双河盲步甲的发现,对白云岩洞穴生态科研、旅游洞穴生物科普、洞穴精灵文化创意研究具有十分重要的价值。同时也提醒我们要加强对绥阳双河洞特殊的地质环境、地质生态环境的研究,以研究成果提高景区科技含量,编制宣传导语,提升景区知名度,助力旅游业繁荣,服务地方经济发展。
(作者单位:106地质队)

本次发现的双河盲步甲

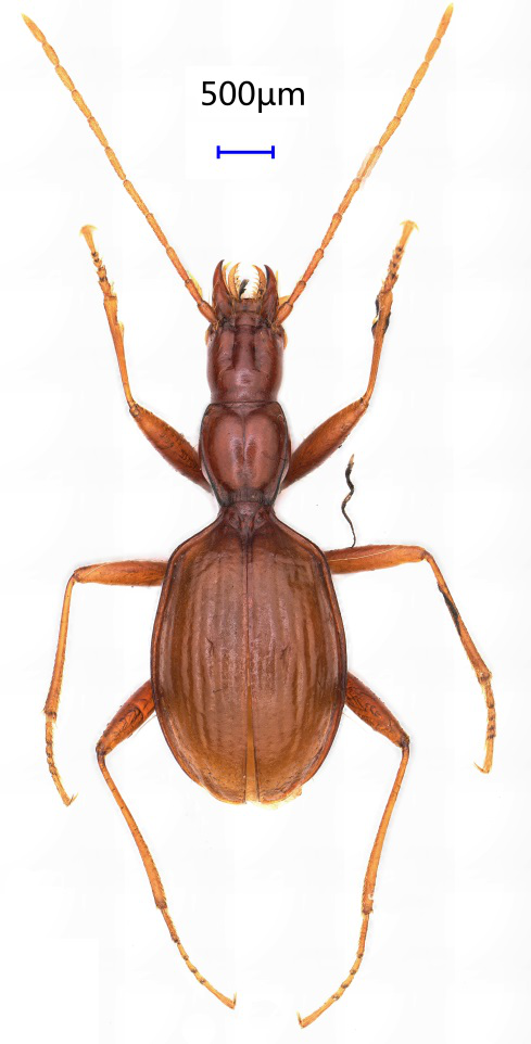
此前发现的细颈黔行步甲

洞穴中的双河盲步甲

洞穴中的细颈黔行步甲
扫一扫在手机打开当前页面
相关信息
- 中国地质装备集团有限公司到我局调研新一轮找矿突破战略行动服务支撑工作 2025-08-01
- 中国矿业大学 六盘水师范学院到我局调研座谈 2025-08-01
- 李强主持召开国务院常务会议 学习贯彻习近平总书记关于上半年经济形势和做好下半年经济工作的重要讲话精神 审议通过《关于深入实施“人工智能+”行动的意见》 部署实施个人消费贷款贴息政策与服务业经营主体贷款贴息政策 讨论《中华人民共和国耕地保护和质量提升法(草案)》 2025-08-01
- 中共中央政治局召开会议 决定召开二十届四中全会 分析研究当前经济形势和经济工作 中共中央总书记习近平主持会议 2025-07-30
- 习近平对防汛救灾工作作出重要指示 2025-07-29





贵公网安备
52010302001669号